-
注意:越南各国际航空公司停运或减少班次!
-
一直在亏?国际空运联合航空预计2021年第三季度实现盈利
-
巴拿马型国际海运货船在短短3个月内上涨了一倍多!是航运史上最大涨幅!
-
海关查获无证出口危化品8.4吨!
-
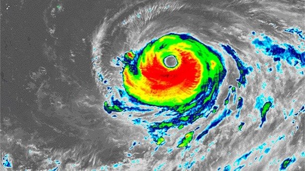
上海即将迎来史上最大台风之一,国际海运码头已暂停进提空箱!
-
国际海运巴塞罗那港,2021年上半年集装箱货运量新鲜出炉!
-
民航局对多个国际航班发出立即熔断指令和熔断指令
-
美国东海岸国际海运港口的货运量创下新纪录
-
国际海运的缺箱和运力紧张的情况何时能好转?马士基表示很难预测!
-
中国国际海运港口塞了565艘散货船!
-
孟加拉国实现严格封闭,关闭工厂19天,导致国际海运船运中断
-
港口严重延误、拥堵,船公司达飞暂停该港口的订舱!
-
17例阳性!均为机场工作人员,南京禄口国际机场多航班延误!
-
拥堵还在继续:全球328艘船舶滞留港口,116个港口拥堵严重!
-
2021年我各大国际海运港口上半年成绩单新鲜出炉
-
美国终于出手!联邦海委会对船东收取滞箱费、滞港费现象进行审计!
-
华南、华东台风即将登陆!深圳广州港口停摆!
-
严重拥堵!船公司马士基取消布里斯班航线!
-
注意:国际海运船公司达飞海运将对福建福清港征收拥堵附加费!
-
最新消息:南非国内动乱后,国际海运港口已恢复正常运作
-
国际海运市场异常火爆,船公司都转行造船了吗?
-
国际货代出货请注意:美国西海岸港口的拥堵又加剧了!
-
国际海运集装箱船不够?那就用散货船来凑!
-
厉害了我的国,全球前20大国际海运港口排名预测出炉,中国占9席!
-
突发!南京机场检出9例阳性,注意出货延误!
-
受强大暴雨影响,河南郑州机场30多个进出港航班取消!
邮件群发-邮件群发软件|邮件批量发送工具|群发邮件平台|批量邮箱发送系统公司




























